ABD Ulusal Hava Durumu Servisi (NWS), Meksika Körfezi'nden güçlenerek Florida eyaletine doğru yaklaşan Milton Kasırgası'nın son 100 yılın "en güçlüsü" olabileceği uyarısında bulundu. Orlando Uluslararası Havalimanı'nda uçuşlar iptal oldu. ABD Başkanı Joe Biden da halka uyarılarda bulunarak, "Milton, yüzyılın kasırgası gibi gözüküyor." dedi.
Kaynak: AA | Bu içerik Metin Yamaner tarafından yayına alınmıştır
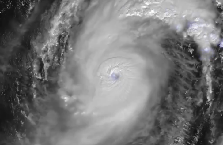
Florida kıyılarına doğru ilerleyen Milton Kasırgası'yla ilgili, federal ve yerel yetkililer uyarıda bulunmaya devam ediyor.
HIZI 260 KİLOMETRE
Açıklamada, kasırgadan en çok etkilenecek bölgelerin 3 ila 4,5 metreye kadar sular altında kalabileceği, büyük okyanus dalgalarına yola açabileceği tahmini paylaşıldı. Ulusal Kasırga Merkezinden yapılan açıklamaya göre de saatteki hızı yaklaşık 260 kilometreye ulaşan Milton Kasırgası'nın kategorisinin 5'e çıktığı bildirildi.
Açıklamada, kasırgadan kaynaklanan ani sellerin hem kıyı hem de iç bölgelere zarar verebileceği uyarısında bulunuldu.
OKULA SIĞINDILAR
Florida eyaletinde yaklaşan Milton Kasırgası nedeniyle yüzlerce kişi Palmetto kentindeki Virgil Mills İlkokulu'na sığındı.
İSTASYONLARDA BENZİN TÜKENDİ
Washington Post'un haberinde ise Florida'da ikamet eden çok sayıda kişi bölgeyi terk etmeye çalışırken 1400 benzin istasyonunda yakıtın tükendiği bildirildi.